Dodaj nieruchomość do wielu portali nieruchomości
1740000 zł 624 zł / m2
Skontaktuj się
z właścicielem
600
Oferta nr: 41039
Wyślij ogłoszenie na e-maila
Lokalizacja
Województwo
pomorskie
Powiat
Gdańsk
Miasto / Gmina
Gdańsk
Kod pocztowy
-
Dzielnica / Wieś
Stogi
Ulica
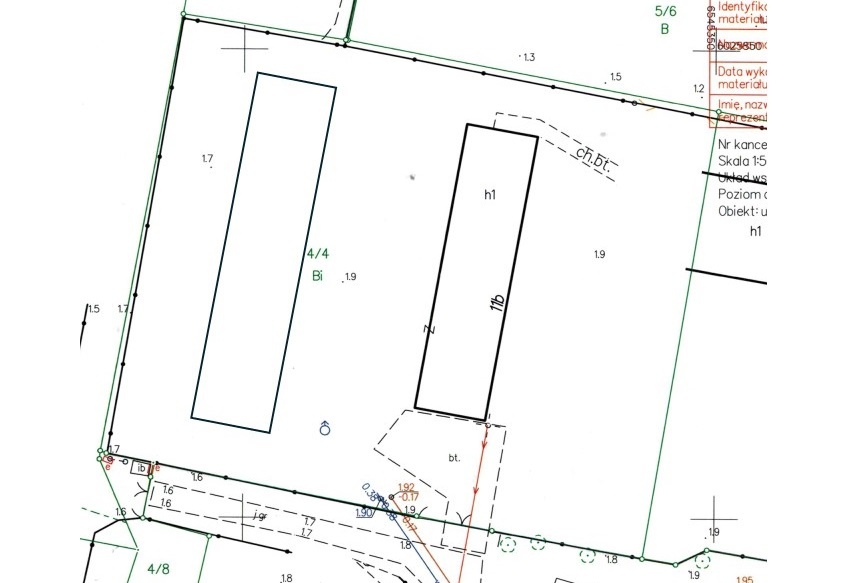
Kaczeńce 11b
Działka
Powierzchnia
2788 m2
Wymiary
58 x 48
Rodzaj działki
inwestycyjna
Media
-
Ogrodzenie
siatka
Kształt
prostokąt
Informacje
Dojazd
utwardzony
Okolica
zabudowa niska, PKS, autobus, tramwaj, trolejbus, centrum handlowe
Cena
1740000 zł
Opis
Regularna działka (kwadrat 48mx58m) o powierzchni 2788 m2, zlokalizowana tuż przy ogródkach działkowych, bez problematycznych instalacji podziemnych.

Działka zlokalizowana niedaleko skrzyżowania ul. Sucharskiego i ul. Wosia Budzysza.

Bardzo dobra komunikacja, niedaleko: tramwaj, autobus.

Dojazd do działki z drogi asfaltowej Kaczeńce.

Na działce znajdują się dwa budynki:

- parterowy, niepodpiwniczony, murowany biurowo - magazynowo - mieszkaniowy o pow. około 233 m2, do remontu,

- hala magazynowo - warsztatowa o pow. około 404m2 (z kanałem samochodowym) o konstrukcji stalowej o powierzchni 404m3, w średnim stanie technicznym.

Możliwość kontynuacji obecnej działalności o charakterze przemysłowo - magazynowo - składowym lub nowej zabudowy mieszkaniowej.

Działka przeznaczona w obowiązującym planie zagospodarowania Gdańska pod funkcję: mieszkaniowo-usługową (mieszana).

Wysokość zabudowy 12m.
% pokrycia działki zabudową max 50%.
Intensywności zabudowy - nie ustala się.
Linie zabudowy - nie ustala się.
Min. 20% powierzchnia biologicznie czynna.

Działka nr 4/4, obręb 254S, ul.Kaczeńce 11B
Numer karty terenu 020. Strefa 31.

Oferta bezpośrednia.
FAQ
Jaka jest powierzchnia nieruchomości?
Łączna powierzchnia gruntu to 2788 m².
Jaka jest cena?
Nieruchomość jest dostępna za 1740000 zł.
Jaki jest rodzaj działki?
Nieruchomość została sklasyfikowana jako inwestycyjna.
Jaki jest dojazd do działki?
Działka posiada dostęp od strony drogi utwardzony.
Jaki jest kształt działki?
Grunt ma formę prostokąt.